Posted on 11/16/2020 10:19:55 AM PST by topher
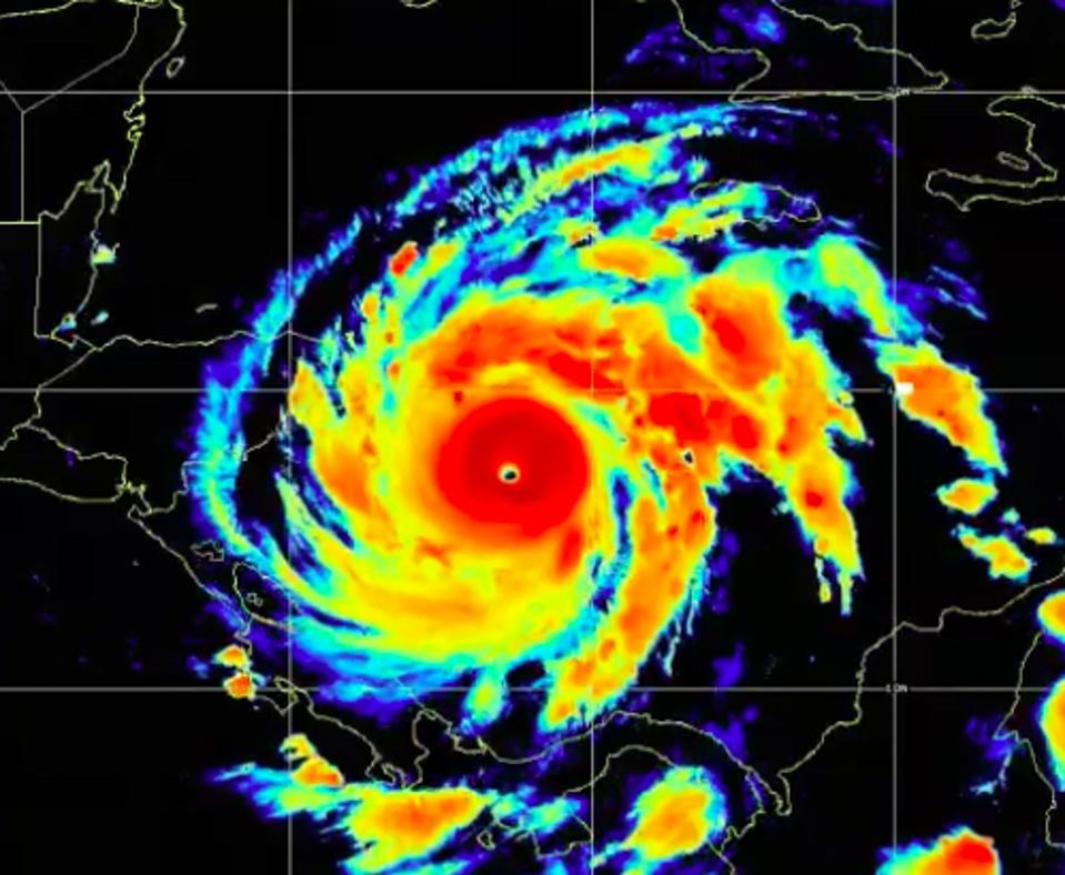
Hurricane Iota becomes Cat 5 as it approaches Central America.
It is the latest Cat 5 on record in terms of latest in season.
It is going to impact almost the same area as Hurricane Eta and only a few weeks after Hurricane Eta.
Please pray for the poor people of Central America.
They can head here. I am told the wall will be gone very soon.
Yeah, and it’s not moving terribly quickly either (forward speed 9 mph).
Imagine an F3 tornado lingering over your house for 20 minutes or so... after slowly ramping up for the prior hours or two, and then finally abating in the same manner.
Thank you for the prayer thread!
Idiot comments aside, these people deserve our prayers.
A cat 5 hurricane heading into a third world country with terrible infrastructure .
Not good at all, lots of lives will be lost .
“these people deserve our prayers“
Yes they do.
Prayers for the people in Central America about to experience such a devastating storm

Nicaragua and Honduras will experience 12-18+ foot storm surge, ferocious winds, intense rainfall, and landslides.
It will slow down the migrants walking towards the border to be welcomed by Biden’s team.
Oh they will. Come spring 2021, I see a huge influx of illegals from all over the world. Refugees brought in from Biden. It’s going to be mass overdrive.
“Oh they will. Come spring 2021, I see a huge influx of illegals from all over the world. Refugees brought in from Biden. It’s going to be mass overdrive.”
It’s so frustrating. Unions and low income people overwhelmingly support Biden and the left. This influx will drive down wages and kill union jobs.
I’ll take a perverse pleasure in watching them squeal when they get what they voted for.
That’s all it will do, slow it down.
Please don't feed the "climate refugee" myth. They are fleeing crime-ridden socialist s-holes. The part of Nicaragua being hit is relatively sparsely populated:

Also the area with the strongest hurricane winds is relatively small, about 30-50 miles wide.
Prayers up for central America.
All Christians are praying for them that the storm may abate.
Yes. Hopefully this one will run out of steam on its own.
Oh my word! Prayers for those in the path of Iota. Please be merciful.
Prayers up for the Central Americans no one deserves a second direct dose from a powerful hurricane.


Disclaimer: Opinions posted on Free Republic are those of the individual posters and do not necessarily represent the opinion of Free Republic or its management. All materials posted herein are protected by copyright law and the exemption for fair use of copyrighted works.